Reserva tu hotel
con Booking.com
Por Urko Nalda • Actualizado en noviembre, 2025
Organizar una visita al Parque Nacional de Komodo es, sin duda, una de las mejores decisiones que puedes tomar en tu viaje por Indonesia. Para nosotros fue una aventura increíble en la que pasamos varios días navegando entre islas volcánicas, nos encontramos cara a cara con los famosos dragones y descubrimos paisajes que nos dejaron sin palabras. La forma más completa de vivirlo es con un tour de 3 días y 2 noches, durmiendo en el propio barco para despertar cada mañana en un paraíso distinto. Si tienes esta excursión en mente, quédate, porque en esta guía te vamos a contar todo lo que necesitas saber para planificarla por tu cuenta basándonos en nuestra experiencia.

Visitar el Parque Nacional de Komodo es, sin ninguna duda, una de las mejores experiencias que puedes vivir en Indonesia. Nosotros lo dejamos para el final de nuestro viaje por el país y fue la mejor decisión que pudimos tomar. En los últimos años ha ganado una popularidad increíble, y la verdad, no es para menos.
Pasamos tres días allí visitando algunos de los mejores lugares que ver en Komodo y nos pasamos el tiempo alucinando con sus paisajes de islas volcánicas, playas sacadas de otro planeta y fondos marinos llenos de vida. Sinceramente, es uno de los lugares más salvajes y bonitos en los que hemos estado.
Hay algo clave que debes saber: para explorar esta zona es imprescindible hacerlo por mar. Por eso, lo más habitual es contratar una excursión organizada en barco que puede durar desde uno a tres días. Aunque requiere un poco de organización, te aseguramos que merece muchísimo la pena.
Justo para eso hemos preparado esta guía. Queremos resolver todas tus dudas y darte la información práctica para que puedas organizar la visita a este paraíso por tu cuenta, basándonos en nuestra propia experiencia.
¿Organizando tu próximo viaje?
🛏️ Reserva tus hoteles con Booking.com, Agoda y Trip.com.
🥳 Reserva tus tours con Civitatis, Getyourguide y Klook.
📱 Mantente conectado con Holafly.
🚗 Alquila tu coche con Rentalcars.
🧳 Seguro de viaje con Heymondo. ¡Consigue un 5% de descuento hoy!
Si estás organizando tu viaje a Indonesia, tienes a continuación una lista con los artículos destacados para que puedas palanificar tu visita de la mejor manera:
TABLA DE CONTENIDOS

La forma más habitual y cómoda de llegar al Parque Nacional de Komodo es en avión, ya que la puerta de entrada al parque es el aeropuerto de Labuan Bajo, en la isla de Flores. Encontrarás vuelos directos desde Yakarta, Bali, Surabaya y otros puntos importantes de Indonesia. El aeropuerto está a solo 10 minutos del centro de Labuan Bajo, así que en cuanto aterrizas, puedes llegar rápidamente a tu alojamiento y al puerto donde salen los barcos al parque.
¿No tienes tiempo para leerlo ahora?
Guárdalo en Pinterest para leerlo más tarde
Guardar en Pinterest

Otra opción, algo más aventurera, es hacer un tour en barco desde Lombok. Este recorrido dura entre 3 y 4 días, cruzando varias islas, haciendo paradas en playas y puntos de snorkel antes de llegar finalmente a Labuan Bajo y al Parque Nacional de Komodo. Suele ser una experiencia muy popular entre viajeros con más tiempo o quienes quieren algo diferente, aunque es más lenta y puede ser exigente si el mar está algo revuelto.
Por último, existen ferris públicos que conectan islas como Bali, Lombok, Sumbawa y Flores, pero requiere más días y planificación, y las condiciones pueden variar mucho según la temporada. Para la gran mayoría de viajeros, volar a Labuan Bajo es la opción más rápida y práctica.

Una de las primeras decisiones que tendrás que tomar es qué tipo de excursión quieres hacer. La duración del tour determinará qué lugares visitarás y el ritmo del viaje. Básicamente, tienes tres opciones principales:
Excursión de 1 día en lancha rápida: Esta es la opción perfecta si tienes muy, muy poco tiempo y no quieres renunciar a ver lo imprescindible de Komodo. Las lanchas rápidas te llevan a los puntos más famosos como Padar Island o Pink Beach en una sola jornada. El punto negativo es que todo va muy cronometrado y con prisas, y te pierdes la magia de dormir en el barco y ver el parque sin multitudes.
Tour de 2 días y 1 noche: Es un buen equilibrio si no dispones de tres días completos. Te permite visitar los principales puntos de interés a un ritmo más relajado y, lo más importante, incluye la experiencia de pasar una noche en el barco. Esto te permitirá disfrutar de un atardecer y un amanecer espectaculares dentro del parque, algo que para nosotros es un imprescindible.
Tour de 3 días y 2 noches (la opción más completa y recomendada): Esta es, sin ninguna duda, la opción que nosotros hicimos y la que te recomendamos al 100%. Un tour de esta duración te permite explorar el Parque Nacional de Komodo en profundidad y sin prisas, descubrir rincones menos masificados y, en definitiva, sumergirte por completo en la experiencia. Si tu itinerario te lo permite, no lo dudes y elige este tour.

Ahora sí, vamos a contarte con detalle cómo fue nuestro itinerario de 3 días y 2 noches por el Parque Nacional de Komodo. Es importante que sepas que la ruta que te mostramos es la que hicimos nosotros, pero es orientativa. El orden de las visitas e incluso algunos de los lugares pueden variar. El capitán del barco es quien tiene la última palabra y puede modificar el plan dependiendo de factores como las corrientes, el estado del mar o la cantidad de barcos que haya en un punto concreto para garantizar la mejor experiencia. Pero no te preocupes, los puntos clave casi siempre se visitan y, sea cual sea el orden, te aseguramos que el viaje es una auténtica pasada.
La aventura arranca por la mañana. En nuestro caso, nos recogieron en el hotel de Labuan Bajo sobre las 9:00 para llevarnos directamente al puerto. Una vez allí, conocimos a la tripulación, dejamos nuestras cosas en el camarote y, ahora sí, el barco puso rumbo al paraíso.

Nuestra primera parada fue Pulau Kelor, una pequeña isla con una playa de arena blanca preciosa. Aquí tuvimos nuestro primer contacto con el agua cristalina del parque y, además, hicimos un snorkel alucinante en el que, sí, ¡vimos baby sharks de arrecife de punta negra! Son completamente inofensivos y verlos nadar tan cerca es una pasada. Además, la isla tiene una pequeña colina a la que puedes subir para tener unas vistas espectaculares de los alrededores.

Después de comer en el barco, nos movimos hasta un punto de snorkel increíble junto a Manjarite Beach. El agua era súper cristalina y el fondo marino estaba lleno de vida: corales de todos los colores, bancos de peces y estrellas de mar azules por todas partes. Incluso tuvimos la suerte de cruzarnos con una tortuga marina.

El broche de oro para nuestro primer día llegó con el atardecer en Pulau Koabe. El barco echa el ancla cerca de esta isla de manglares y empieza el espectáculo. Justo cuando el cielo se tiñe de tonos naranjas y rosas, miles y miles de murciélagos gigantes de la fruta (conocidos como zorros voladores) salen de la isla en busca de comida. Ver esa nube negra moviéndose en el cielo es un espectáculo de la naturaleza brutal que no se olvida fácilmente.

Prepárate, porque el segundo día del tour por el Parque Nacional de Komodo es el plato fuerte, lleno de paradas icónicas. El barco navega durante la noche mientras duermes, así que te despiertas directamente en la primera visita del día: la increíble Padar Island. El objetivo es subir a su mirador para ver el amanecer. Hay que ser sinceros, había muchísima gente, ya que es el punto más famoso. Pero en cuanto llegas arriba y ves el paisaje, se te olvida todo. Las vistas con las tres bahías de diferentes colores de arena son una de las imágenes más famosas de Indonesia, y con razón.

Después del madrugón y la caminata, pusimos rumbo a Pink Beach, que se encuentra en la misma isla de Padar. El color rosado de la arena, que se mezcla con el agua turquesa, es una pasada. Además, tuvimos la suerte de ver varias tortugas marinas nadando tranquilamente muy cerca de la orilla mientras hacíamos snorkel.

Antes de ir a uno de los platos fuertes del día, hicimos otra parada en un sandbar alucinante conocido como Taka Makassar. La verdad, es un lugar precioso: una pequeña lengua de arena blanca que aparece en medio de la nada, rodeada por un agua turquesa espectacular. Allí también pudimos hacer snorkel y volvimos a ver crías de tiburón de punta negra (baby sharks) nadando por la zona.



Tras la comida, llegó otro de los momentazos del viaje: Manta Point. Es difícil describir la sensación de saltar al agua y verte rodeado de estos animales. Tuvimos muchísima suerte y pudimos nadar con un montón de mantarrayas gigantes. Verlas planear bajo el agua con esa elegancia es un espectáculo que te deja sin palabras.

Por la tarde llegó el otro plato fuerte: ver a los dragones de Komodo. Desembarcamos en Komodo Island y, siempre acompañados por un ranger local, hicimos una pequeña ruta para encontrarlos. Y sí, son enormes y acojonan un poco, la verdad. Verlos tan de cerca en su hábitat natural es algo que impone muchísimo respeto.

Esta fue la última parada de un día súper intenso pero inolvidable. Después, el barco fondeó cerca de la misma isla de Komodo para pasar la noche, listos para la aventura del tercer y último día.

El tercer día es el de la despedida, pero el tour se guarda una última joya para el final. Antes de poner rumbo de vuelta al puerto, hicimos una última parada para hacer snorkel y, sinceramente, fue la despedida perfecta.
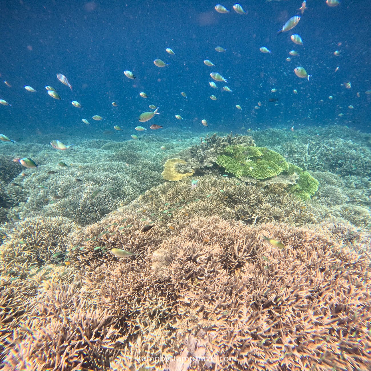
Para nosotros, este fue uno de los mejores puntos de snorkel de todo el viaje por Komodo. Nos encantó. El fondo marino era un auténtico jardín de coral con unos colores vivos espectaculares y la cantidad de peces que había era una locura. Estuvimos un buen rato en el agua alucinando con la vida que había allí abajo.

Después de este último baño, ya sí, pusimos rumbo de vuelta a Labuan Bajo. El trayecto de regreso se aprovecha para disfrutar de las últimas vistas del parque nacional desde la cubierta del barco.
Una vez en el puerto, nos despedimos de la tripulación y del que había sido nuestro hogar flotante durante tres días. Tal y como habíamos acordado con la agencia, una furgoneta nos estaba esperando para llevarnos directamente al aeropuerto. Y así, con la piel todavía salada, terminaba nuestra aventura por Komodo, justo a tiempo para coger el vuelo que nos llevaría a nuestro siguiente destino.
Llegamos a una de las partes clave de la organización del viaje: cómo y dónde contratar tu tour por Komodo. Tienes dos maneras principales de hacerlo, y cada una tiene sus ventajas y desventajas.
Puedes contactarles por el WhatsApp que encontrarás en la web y decir que vas de parte de Stamp by Stamp, algo que le comentamos para que sepa que vienes recomendado. Tanto la gestión previa, como el recorrido en barco, las paradas, la tripulación y la comida, todo fue 10/10. Cuando te preguntan por el trato y por el tour, solo podemos decir que fue una experiencia super profesional, cercana y sin sorpresas. Lo recomendamos totalmente si buscas una agencia local seria y flexible.

El ferry estaba genial y fue uno de los puntos fuertes del viaje. Teníamos nuestro camarote privado con ducha y baño, lo que se agradece muchísimo para descansar y tener tu propio espacio. En la parte de arriba estaba la mesa donde comíamos todos juntos; la comida, por cierto, nos sorprendió porque estaba muy rica y la cocinaban al momento, variando cada día y perfecta para reponer fuerzas tras cada excursión.
El barco tenía también una zona de sofás donde podías tumbarte a descansar o simplemente disfrutar del paisaje mientras navegábamos entre islas. Además, en la cubierta superior, podías tomar el sol tranquilamente o relajarte entre parada y parada. Todo el ambiente era muy cómodo, familiar y el equipo hacía que te sintieras como en casa. Sin duda, el ferry fue un acierto total y nos permitió disfrutar aún más del Parque Nacional de Komodo.

La mejor época para visitar el Parque Nacional de Komodo es durante la estación seca, que va de abril a noviembre. Estos meses son ideales para disfrutar de días soleados, mar tranquilo y aguas cristalinas perfectas para snorkel y buceo. Si viajas entre mayo y octubre tendrás condiciones óptimas, pero debes tener en cuenta que julio y agosto son temporada alta, por lo que encontrarás más turistas y precios algo más elevados.
Durante la temporada de lluvias (diciembre a marzo), además de que el clima puede ser inestable y haya más probabilidad de lluvias intensas, es importante saber que a veces incluso se pueden dar cancelaciones de excursiones y tours en barco por malas condiciones del mar o tormentas fuertes. Estas situaciones no son muy frecuentes pero sí posibles, sobre todo entre diciembre y febrero, cuando las lluvias y el viento pueden dificultar la navegación en ciertas zonas del parque.
Por eso, si tienes flexibilidad de fechas y quieres ir sobre seguro, es preferible optar por la estación seca. En cualquier caso, recuerda que tienes más detalles y recomendaciones en nuestro post sobre la mejor época para viajar a Indonesia.

Como en cualquier actividad en el mar y en áreas naturales, el mar puede ser relativamente impredecible. Sin embargo, los accidentes en esta zona son poco frecuentes gracias a las medidas de seguridad que aplican los organizadores y las autoridades locales.
Los barcos que operan en el parque pasan controles para garantizar que están en buenas condiciones. Llevan chalecos salvavidas para todos los pasajeros y el personal está capacitado para actuar en emergencias. Los guías y la tripulación priorizan la seguridad en todo momento y cancelan o modifican las excursiones si las condiciones meteorológicas no son seguras.
Nosotros no tuvimos ningún problema y nos sentimos muy cómodos durante todo el viaje. La mayoría de las agencias y barcos del parque aseguran una experiencia espectacular y segura. La clave es contratar con operadores responsables y seguir siempre las indicaciones de los guías.

Lleva suficiente dinero en efectivo. Las tasas del parque y del guía se pagan aparte y suelen variar según los días y las paradas. Calcula unas 500.000 rupias por persona solo para tasas, y algo más si quieres comprar alguna bebida o recuerdo en las islas.
No te olvides del protector solar (si puede ser ecológico, mejor), gorra y gafas de sol. El sol pega muy fuerte tanto en el barco como en las caminatas por las islas.
Contrata un buen seguro de viaje que cubra actividades acuáticas y trayectos en barco. De verdad, es importante si vas a hacer snorkel o moverte entre islas. Nosotros siempre viajamos con Heymondo, y además por ser lector de Stamp by Stamp tienes un 5% de descuento extra.
Sigue siempre las indicaciones del guía, sobre todo al acercarte a los dragones de Komodo. No te alejes del grupo ni trates de ir por libre.
Cuida el entorno: no toques el coral ni dejes nunca basura en las islas. Komodo es un entorno protegido y entre todos debemos mantenerlo así.
Si contratas el tour en Labuan Bajo, pregunta bien por todo lo que está incluido y asegúrate de saber cuánto tendrás que pagar en tasas aparte. Habla con varias agencias antes de decidirte.
No olvides la cámara, porque pocos paisajes serán tan espectaculares ni tanta vida marina podrás ver en un solo viaje.

Totalmente. La experiencia en el Parque Nacional de Komodo es única e inolvidable. Nos encantó porque combina naturaleza salvaje, paisajes impresionantes y encuentros con animales que parecen sacados de una película de aventuras. Además, si te gusta el buceo o el snorkel, los fondos marinos de Komodo son inigualables. Ver corales de colores, tortugas y mantarrayas en su hábitat natural hace que la visita sea aún más espectacular. Sin duda, es una de las aventuras más especiales que puedes vivir en Indonesia y, en general, en todo el mundo. Recomendamos encarecidamente que no te lo pierdas si buscas una experiencia auténtica, diferente y llena de momentos memorables.

Planificia tu viaje y no te dejes nada. Recuerda que comprando a través de estos enlaces me ayudas a seguir creando contenido sin coste adicional. 🫶🏼☺️
Y hasta aquí nuestro post sobre el tour en barco por el Parque Nacional de Komodo. Esperamos que te haya servido para organizar tu viaje y que te animes a vivir esta experiencia única e inolvidable. Si ya has visitado Komodo o estás planeando hacerlo, nos encantaría que nos dejes tus comentarios, preguntas o tips aquí abajo. Así podremos ayudarnos entre todos y crear una comunidad de viajeros con ganas de compartir y aprender. ¡Te esperamos en los comentarios!
¿Estás buscando más información para tu viaje? Echa un ojo a nuestras asesorías de viaje y organiza una llamada con nosotros.